Инвестистиционен имот

ID: 469
€1
Варна, Метро, главната
thumb
thumb
thumb
thumb
thumb

Детайли за имота

  •  Година на строителство: -
  •  Вид на имота: Парцел
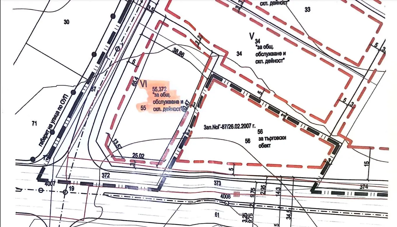
  •  Площ: 5363
  •  Кадастрален номер: -
  •  Охрана: -
  •  Достъп: Асфалтов път

За имота

Представяме Ви уникален парцел, подходящ за инвестиции, разположен в района на Варна, в близост до МЕТРО. Този имот предлага отлични възможности за развиване на различни бизнес проекти, благодарение на стратегическото си местоположение и голямата си площ от 5363 кв.м.

 

##### Основни характеристики на имота:

- **Тип имот**: Парцел

- **Локация**: Варна, в близост до МЕТРО

- **Цена**: ........

- **Обща площ**: 5363 кв.м

- **Подходящ за**: Инвестиции

 

##### Предимства на парцела:

- **Стратегическо местоположение**: Разположен е в непосредствена близост до големи търговски обекти и ключови транспортни връзки.

- **Голяма площ**: С площ от 5363 кв.м, парцелът предоставя широки възможности за различни инвестиционни проекти.

- **Развитие на бизнес**: Идеален за изграждане на логистичен център, складови помещения, търговски обекти.

- **Околна среда**: Намира се в чист и безопасен район, подходящ за бизнес дейности

 

Този парцел е изключителна възможност за инвеститори, които търсят перспективни обекти в динамичния район на Варна. За допълнителна информация и организиране на оглед, моля свържете се с нас. Не пропускайте шанс да инвестирате в бъдещето!

Удобства

  •  Регулация: Да
  •  Проект: Да
  •  Постройка: Да
  •  Ток: В имота
  •  Разрешение за строеж: Да
  •  Вода: В имота
  •  Канализация: В имота

Удобства на района

  •  Басейн: Не
  •  Болница: не
  •  Панорама: Не
  •  Магазини: да
  •  Аптека: не
  •  Градски транспорт: да
  •  Детска градина: не